



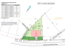
Goed gelegen bouwgrond van 742m² in Puurs. Voor het bouwen van een halfopen bebouwing.
|
Grondoppervlakte
742m²
|
(Bruto) oppervlaktes
/
|
Slaapkamers
/
|
|
Terras of tuin
Nee
|
Bouwjaar
/
|
EPC
/
|
|
Grondoppervlakte
742m²
|
(Bruto) oppervlaktes
/
|
|
Slaapkamers
/
|
Terras of tuin
Nee
|
|
Bouwjaar
/
|
EPC
/
|
Omschrijving
De bouwgrond is gelegen met uitzicht op het groen achteraan. Ideaal om tot rust te komen.
Troeven:
- bouwgrond voor halfopen bebouwing zonder bouwverplichting
- vlotte bereikbaarheid van hoofdwegen
- zuidwest gerichte tuin in het groen
Perceel:
- Grondoppervlakte: 742m²
- Straatbreedte: 15,23m
- Diepte: 55,38m
- Bouwkader: 168, 45m²
Bouwvoorschriften zijn op eenvoudige vraag te bekomen.
Heb je interesse in deze bouwgrond?
Voor meer informatie omtrent de bouwmogelijkheden kan je ons bereiken via onze website: dewaele.com
Hoeveel is je woning waard?
Documenten
Eigenschappen
| Type | Bouwgrond |
| Staat | Goede staat |
| Perceelsoppervlakte | 742m² |
| Aankoop onder verkooprechten | Ja |
| Aankoop onder BTW | Nee |
Wettelijke informatie
| Watertoets | Perceelscore: A (ID: 0216/00E000) |
| Afgebakend overstromingsgebied | nee |
| Afgebakende oeverzone | nee |
| Omgevingsvergunning voor stedenbouwkundige handelingen | ja |
| Voorkooprecht | nee |
| Stedenbouwkundige bestemming | woongebied |
| Omgevingsvergunning voor het verkavelen van gronden | ja |
| Handhaving | geen rechterlijke herstelmaatregel of bestuurlijke maatregel opgelegd |
Je makelaars
