




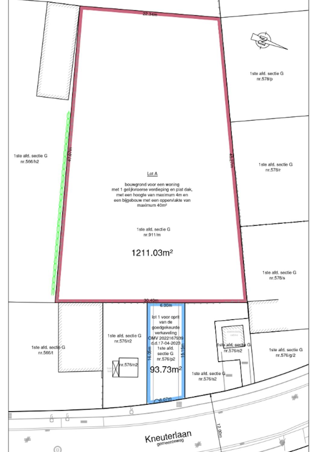
Mooi bouwperceel voor open bebouwing van ca. 1.305m², rustig doch centraal gelegen te Kalmthout!
|
Grondoppervlakte
1305m²
|
(Bruto) oppervlaktes
/
|
Slaapkamers
/
|
|
Terras of tuin
Nee
|
Bouwjaar
/
|
EPC
/
|
|
Grondoppervlakte
1305m²
|
(Bruto) oppervlaktes
/
|
|
Slaapkamers
/
|
Terras of tuin
Nee
|
|
Bouwjaar
/
|
EPC
/
|
Prachtige locatie
Ruim perceel
leuke mogelijkheden
Omschrijving
Stedenbouwkundig attest voor een gelijkvloerse woning met plat dak(15m breed, 17m diep), bijgebouw max 40m²!
Verder info via ons kantoor!
Hoeveel is je woning waard?
Documenten
Eigenschappen
| Type | Bouwgrond |
| Staat | Goede staat |
| Perceelsoppervlakte | 1305m² |
| Kadastraal inkomen | € 83 |
| Aankoop onder verkooprechten | Ja |
| Aankoop onder BTW | Nee |
Wettelijke informatie
| Watertoets | Perceelscores: A (ID: 0576/00P002) - A (ID: 0911/00M000) |
| Afgebakend overstromingsgebied | nee |
| Afgebakende oeverzone | nee |
| Omgevingsvergunning voor stedenbouwkundige handelingen | ja |
| Voorkooprecht | nee |
| Stedenbouwkundige bestemming | woongebied |
| Omgevingsvergunning voor het verkavelen van gronden | in aanvraag |
| Handhaving | geen rechterlijke herstelmaatregel of bestuurlijke maatregel opgelegd |
Je kantoor
2920 Kalmthout
